Property Detail

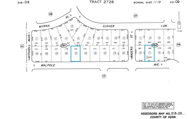
6591 Walpole

California City CA 93505

$10,000

Status: Active

Property Details

Description

12,000+- sq feet vacant lot plus an additional 11,500 sq feet vacant lot in the north side of California City just east of Mitchell Blvd. Both are on Walpole Ave. Water to the lots. Buyer to verify utilities. The price listed is for both lots.

Map Location

Listing provided courtesy of Polly Yamat of Bancorp One, Inc.. Last updated 2025-12-14 09:21:13.000000. Listing information © 2025 CRMLS.

Quinten Sharp

Quinten Sharp

DRE# 00973844
Inquire Now
admin Real estate 9:00 AM - 5:00 PM 9:00 AM - 5:00 PM 9:00 AM - 5:00 PM 9:00 AM - 5:00 PM 9:00 AM - 6:00 PM 9:00 AM - 5:00 PM 9:00 AM - 5:00 PM https://static.royacdn.com/Site-39e808ae-cec3-4f41-bdc3-b18486385755/assets/QSharp.jpg Broker # # # https://static.royacdn.com/Site-39e808ae-cec3-4f41-bdc3-b18486385755/assets/QSharp.jpg