Property Detail

Evelyn

California City CA 93505

$35,000

Status: Active

Property Details

Description

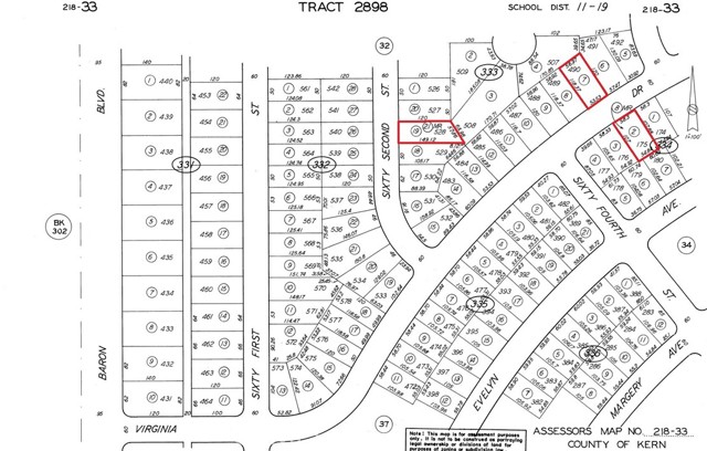
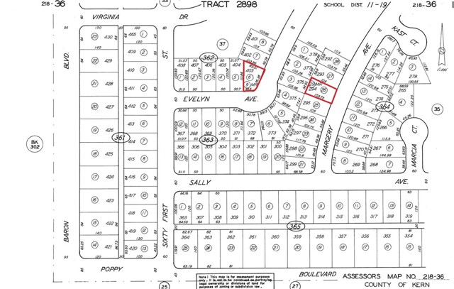
For sale is 1+- acre divided into 7 different lots (not connected). All are zoned as R1 and have water to the lot lines. Buyer to verify water and other utilities. The price listed is for all 7 lots. The 7 lots are: APN: 218-342-14 on Evelyn Ave: 6104 sq ft APN: 218-362-06 on Evelyn Ave: 5936 sq ft APN: 218-363-26 on Margery Ave: 6302 sq Ft APN: 218-325-14 on Alice St: 4586 sq ft APN: 218-333-07 on Virginia Dr: 7083 sq ft APN: 218-333-19 on 62nd St: 7023 sq ft APN: 218-334-02 on Virginia Dr: 5845 sq ft

Map Location

Listing provided courtesy of Polly Yamat of Bancorp One, Inc.. Last updated 2025-12-13 09:21:22.000000. Listing information © 2025 CRMLS.

Quinten Sharp

Quinten Sharp

DRE# 00973844
Inquire Now
admin Real estate 9:00 AM - 5:00 PM 9:00 AM - 5:00 PM 9:00 AM - 5:00 PM 9:00 AM - 5:00 PM 9:00 AM - 6:00 PM 9:00 AM - 5:00 PM 9:00 AM - 5:00 PM https://static.royacdn.com/Site-39e808ae-cec3-4f41-bdc3-b18486385755/assets/QSharp.jpg Broker # # # https://static.royacdn.com/Site-39e808ae-cec3-4f41-bdc3-b18486385755/assets/QSharp.jpg