Property Detail

E Avenue N-8

Palmdale CA 93550

$19,950

Status: Active

Property Details

Description

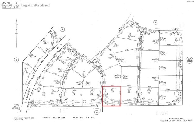
3078-007-013 Coordinates: 34.624500, -117.884694 2.5 acres for sale in LA County. This parcel is located on the corner of 137th St E and E Ave N-8 in Palmdale, CA. This lot is not far off of E Ave O, there are also other homes in the area. Great location for building a home. Seller is open to financing.

Map Location

Listing provided courtesy of NYDIA DEL RIO of HOME & LAND SOURCE. Last updated 2026-04-11 08:21:54.000000. Listing information © 2025 CRMLS.

Quinten Sharp

Quinten Sharp

DRE# 00973844
Inquire Now
admin Real estate 9:00 AM - 5:00 PM 9:00 AM - 5:00 PM 9:00 AM - 5:00 PM 9:00 AM - 5:00 PM 9:00 AM - 6:00 PM 9:00 AM - 5:00 PM 9:00 AM - 5:00 PM https://static.royacdn.com/Site-39e808ae-cec3-4f41-bdc3-b18486385755/assets/QSharp.jpg Broker # # # https://static.royacdn.com/Site-39e808ae-cec3-4f41-bdc3-b18486385755/assets/QSharp.jpg