Property Detail

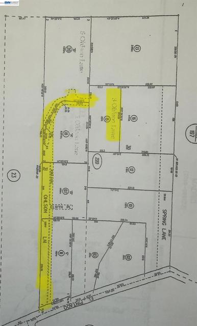
3 Ohlson LN

Danville CA 94526

$2,800,000

Status: Active

Property Details

Description

What could be one of the last remaining buildable homesites off prestigious El Pintado Lane, offering sweeping views of Mt. Diablo and the surrounding Danville hills. This slightly under one-acre parcel sits at the top of the hillside and is part of an approved subdivision, offering a rare opportunity to design and build a custom estate in one of Danville’s most desirable locations. Surrounded by established homes and natural beauty, the property provides an exceptional setting to capture the views, privacy, and lifestyle the area is known for. The parcel benefits from prior subdivision planning, including engineered access and drainage plans, helping streamline aspects of the development process. Nearby development activity may include utility and infrastructure improvements that could benefit the property. Buyers are encouraged to independently verify the status, availability, and timing of all utilities, improvements, and building requirements with the Town of Danville and appropriate professionals. Located just minutes from downtown Danville, top-rated schools, parks, and scenic trails, this is a rare opportunity to build a one-of-a-kind home in a highly sought-after East Bay community.

Map Location

Listing provided courtesy of Kayla Rae Chavez of Compass. Last updated 2026-04-01 08:20:34.000000. Listing information © 2025 CRMLS.

Quinten Sharp

Quinten Sharp

DRE# 00973844
Inquire Now
admin Real estate 9:00 AM - 5:00 PM 9:00 AM - 5:00 PM 9:00 AM - 5:00 PM 9:00 AM - 5:00 PM 9:00 AM - 6:00 PM 9:00 AM - 5:00 PM 9:00 AM - 5:00 PM https://static.royacdn.com/Site-39e808ae-cec3-4f41-bdc3-b18486385755/assets/QSharp.jpg Broker # # # https://static.royacdn.com/Site-39e808ae-cec3-4f41-bdc3-b18486385755/assets/QSharp.jpg